The Plan

Project Schedule

MoDOT has selected Millstone Weber, in association with Parsons, as the design-builder for this this project. Construction began in summer 2022. Work on the interchanges at Cave Springs and Zumbehl will be complete in the summer of 2024 while work on the new outer road is expected to be complete by late November 2024.

What to Expect

Cave Springs Interchange

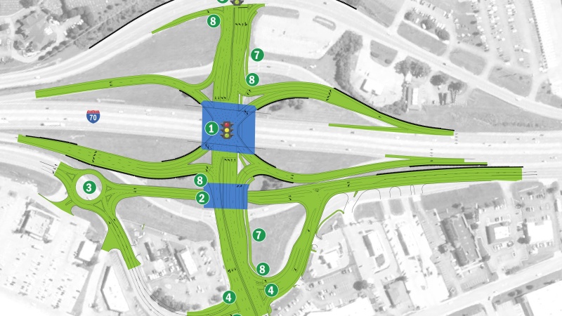
The 40-year-old Cave Springs bridge over Interstate 70 will be replaced with a wider bridge to accommodate a single-point urban interchange (SPUI). A new overpass will be built to allow traffic on Veteran’s Memorial Parkway to go under Cave Springs without stopping at a traffic signal. There will also be a new ten-foot-wide multi-use pedestrian connection across I-70.

Zumbehl Interchange

The Zumbehl bridge will be replaced with a new single-point urban interchange. Other changes include extending the entrance ramp from Zumbehl to westbound I-70 and the exit ramp from eastbound I-70 to Zumbehl. This will allow for easier merging. A new ten-foot-wide multi-use pedestrian connection across I-70 will also be built.

Route 94 Interchange

The new North Outer Road will end where the existing westbound I-70 off-ramp intersects with Route 94. This intersection will be widened to accommodate three left turn lanes to southbound 94 and two right turn lanes to northbound 94. Modified right turn lanes will help eliminate traffic weave.

Outer Roads

All existing outer roads within the project limits that currently serve two-way traffic will remain two-way. The I-70 CSFG project includes the construction of a new one-way North Outer Road between Fairgrounds/Convention Center Blvd. and Route 94/First Capitol Drive that does not exist currently. The new one-way outer road section would have exit ramps west of Fairgrounds and entrance ramps onto westbound I-70 just before Route 94/ First Capitol.

A future project could include a new, one-way North Outer Road (shown in green above), that does not currently exist. This would complete the North Outer Road from Route 94/First Capitol to Zumbehl. This section was removed from this project so that a future project can provide better access by including ramps to and from westbound I-70 and allowing for possible connections with Hawks Nest Dr. and Droste Rd.